

Desde la década del 70, la comunidad científica sabe que Marte tuvo un pasado volcánico intenso. Las primeras pruebas llegaron en 1971, cuando la sonda Mariner 9 de la NASA envió imágenes que revelaron volcanes gigantes y extensas llanuras de lava, en una escala desconocida incluso para la Tierra.
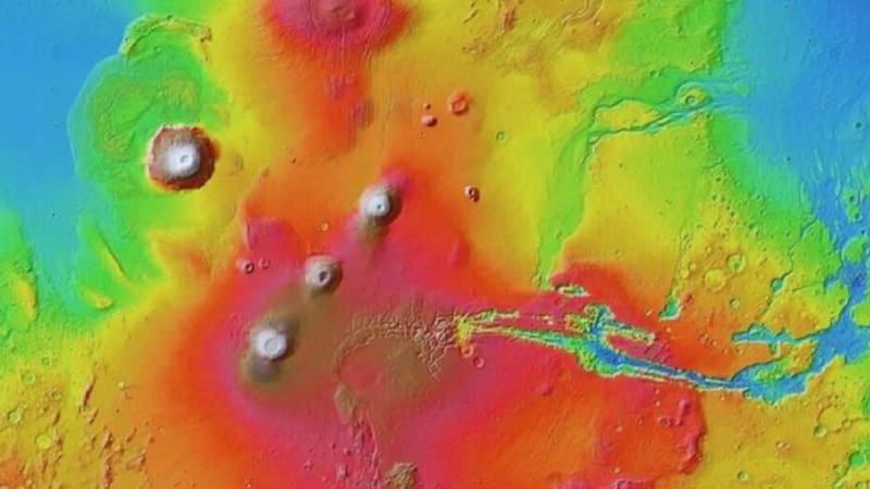
Entre esas formaciones sobresale el imponente Monte Olimpo, considerado el volcán más alto del sistema solar y con una altura que triplica la del Everest.
También destaca el Monte Alba, el más ancho del planeta rojo, con dimensiones que pueden superar los 1.500 kilómetros y expandirse aún más si se contabilizan sus antiguos flujos de lava.
Vulcanismo en Marte: predominan las erupciones tranquilas, pero hay excepciones
La mayoría de estos gigantes se formaron a partir de erupciones basálticas efusivas, caracterizadas por lava fluida que se extendía en capas sobre la superficie. Este tipo de actividad habría sido el más frecuente en Marte y explicaría gran parte de su paisaje volcánico.
Sin embargo, investigaciones recientes confirman que no todo fue calma geológica. Un comunicado de la NASA detalla que también existieron episodios explosivos, responsables de generar conos volcánicos, depósitos piroclásticos y lluvias de ceniza.
Según explicó Petr Brož, geólogo planetario de la Academia Checa de Ciencias, las condiciones marcianas —con una atmósfera unas 160 veces menos densa que la terrestre y apenas un tercio de su gravedad— deberían favorecer, en teoría, erupciones explosivas más frecuentes. Esa particularidad convierte a ciertas regiones en objetos de especial interés científico.

Ulysses Colles: la región que revela volcanismo explosivo
Uno de los puntos clave es Ulysses Colles, donde se identificaron estructuras que se asemejan a conos de escoria. Estas formaciones fueron detectadas en la región de Tharsis durante la década de 2010 y ayudaron a ampliar la comprensión del vulcanismo marciano.
La imagen fue capturada en 2014 por la cámara CTX del orbitador Mars Reconnaissance Orbiter. Allí se observan colinas redondeadas con aberturas circulares en la cima y extensiones oscuras de lava solidificada en sus alrededores.
Para comparar estos rasgos con ejemplos terrestres, los científicos analizaron imágenes del Campo Volcánico de San Francisco, en Arizona, obtenidas por el satélite Landsat 8. La similitud entre ambos escenarios refuerza la hipótesis de procesos geológicos comparables, aunque bajo condiciones físicas muy distintas.
¿Qué son los conos de escoria y por qué en Marte son diferentes?
En la Tierra, los conos de escoria se forman cuando magmas ricos en gases son expulsados al aire y se fragmentan en partículas que se acumulan alrededor del cráter. Este tipo de erupción, conocida como estromboliana, es moderadamente explosiva y produce fuentes de lava intermitentes.
En Marte, el mecanismo sería similar, pero con diferencias notables: los conos suelen ser más altos, más anchos y con pendientes menos pronunciadas. La menor gravedad permite que el material expulsado alcance mayor altura y se disperse a mayor distancia antes de caer, generando estructuras de mayor tamaño.
Estas erupciones contrastan con eventos mucho más violentos, como el registrado en el volcán Hunga Tonga-Hunga Ha’apai en el Pacífico Sur, que lanzó columnas de ceniza a decenas de kilómetros de altura.

¿Hubo supererupciones en Marte?
Además de los conos de escoria, el planeta rojo muestra indicios de erupciones extremadamente explosivas. Estas “supererupciones” dejaron huellas geológicas distintas, como grandes depresiones denominadas paterae y extensos depósitos de ceniza erosionada.
Comprender estos procesos es clave para reconstruir la historia térmica y atmosférica de Marte. Como explicó el vulcanólogo Patrick Whelley, estudiar estructuras análogas en la Tierra permite a los científicos interpretar fenómenos que hoy ya no pueden observarse directamente en el planeta vecino.













