

Un informe de AccuWeather sobre el inicio de la temporada de huracanes advierte sobre la posible llegada de varias tormentas peligrosas. En 2025, se registraron tres huracanes de categoría 5, una cifra cercana al récord histórico de cuatro.
Los meteorólogos insisten en la importancia de la preparación, ya que incluso en temporadas con actividad moderada varias tormentas pueden tocar tierra en Estados Unidos, independientemente del pronóstico oficial.

Temporada de huracanes: en qué zonas se espera que impacte
El mayor riesgo para 2026 se concentra en la costa norte y noreste del Golfo de México y las Carolinas, donde históricamente se registran más impactos cuando se dan condiciones similares. Estas zonas podrían recibir tormentas con lluvias intensas, marejadas y vientos fuertes, incluso sin que el fenómeno toque tierra de forma directa.
Aunque el riesgo es menor en Texas y otras áreas del Atlántico, los expertos advierten que eso no implica estar fuera de peligro. En temporadas recientes, incluso con menor actividad, algunas tormentas aisladas provocaron daños significativos en zonas que no estaban en el foco principal.
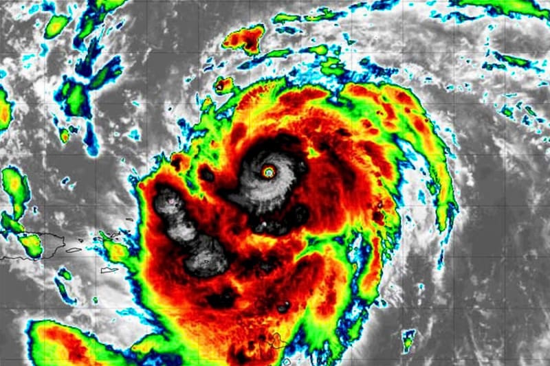
Se esperan más de 10 tormentas ciclónicas: cuándo pronostican el inicio de la temporada
El pronóstico de AccuWeather anticipa entre 11 y 16 tormentas con nombre, con varios huracanes y algunos de gran intensidad. La temporada comienza oficialmente el 1 de junio, aunque el contexto actual podría adelantar la actividad.
Las temperaturas del océano ya se encuentran elevadas en zonas donde suelen formarse estos sistemas, por lo que no se descarta que aparezcan tormentas incluso antes del inicio formal. Además, el pico de actividad suele darse después de septiembre, lo que extiende el riesgo durante varios meses.
Los cuidados que sugieren los expertos parta esta temporada de huracanes
Los especialistas insisten en que la preparación no debe depender del número de tormentas pronosticadas. Incluso una temporada “moderada” puede provocar desastres si una tormenta impacta directamente en zonas pobladas.
Por eso recomiendan anticiparse: contar con un plan de evacuación, preparar suministros básicos, asegurar la vivienda y mantenerse informados a través de fuentes oficiales. También advierten sobre la rapidez con la que pueden intensificarse los huracanes, lo que reduce el margen de reacción.
En temporadas recientes, incluso con menor actividad, algunas tormentas aisladas provocaron daños significativos en zonas que no estaban en el foco principal.

Los nombres de los fenómenos que más preocupan a los meteorólogos
Más que sistemas específicos, la preocupación está en los factores que pueden potenciar la temporada. Uno de ellos es el desarrollo de El Niño, que suele reducir la cantidad de tormentas, pero no elimina el riesgo de eventos extremos.
A esto se suma la posibilidad de intensificación rápida, impulsada por temperaturas oceánicas elevadas en superficie y en profundidad. Esto significa que una tormenta puede pasar de moderada a peligrosa en muy poco tiempo, aumentando el riesgo incluso en temporadas con menos actividad total.











