

Los primeros meses de 2026 se caracterizaron por la presencia de varios fenómenos meteorológicos alarmantes y devastadores. Desde tormentas de nieve prolongadas que cubrieron las calles de distintos estados con varios metros de acumulación, hasta lluvias intensas con fuerte actividad eléctrica y vientos arrasadores que provocaron daños en distintas regiones.
En este contexto, meteorólogos de AccuWeather advirtieron recientemente sobre la posibilidad de que se forme un Super El Niño hacia finales de 2026, un escenario que podría influir en los patrones climáticos globales y en la temporada de huracanes del Atlántico.

La tormenta de viento más temida del año: el verdadero peligro que representa un Super “el niño”
Un Super El Niño es una versión extremadamente intensa del fenómeno climático El Niño, que ocurre cuando las aguas del Pacífico ecuatorial se calientan mucho más de lo normal durante varios meses.
Según el Centro de Predicción Climática de la Administración Nacional Oceánica y Atmosférica (NOAA), el fenómeno se declara cuando la temperatura del océano supera al menos 0,5 °C el promedio durante varios meses, lo que altera la circulación atmosférica global y modifica los patrones climáticos en distintos continentes. En episodios anteriores asociados a sistemas de tormentas intensos se han registrado ráfagas de viento cercanas a los 100 km/h.

Meteorólogos de AccuWeather explican que existe la posibilidad de que el fenómeno se desarrolle en el verano de 2026 y se intensifique durante la temporada de huracanes. El especialista en pronósticos de largo plazo Paul Pastelok señaló que el calentamiento de las aguas del Pacífico “podría favorecer la formación de El Niño este verano”, aunque su intensidad permanece incierta.
Las agencias climáticas también advierten que el impacto global puede ser significativo. El Centro de Predicción Climática de NOAA estima que hay entre un 50 % y 60 % de probabilidad de que El Niño se forme entre mediados y finales de 2026
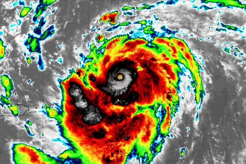
La temporada de huracanes hasta el momento: ráfagas de 100 km p/h, lluvias intensas y cambios bruscos de temperatura
Los especialistas señalan que el desarrollo de El Niño puede influir directamente en la temporada de huracanes y en la formación de tormentas.
Expertos señalan que la actividad de tormentas en el Pacífico puede aumentar, mientras que las lluvias y los cambios bruscos de temperatura se vuelven más frecuentes en algunas regiones.
Los meteorólogos advierten que todavía es temprano para confirmar si el fenómeno se convertirá en un Super El Niño, ya que los modelos climáticos pueden cambiar en los próximos meses y la intensidad final del evento dependerá de la evolución de las temperaturas del océano y de los vientos en el Pacífico.











