

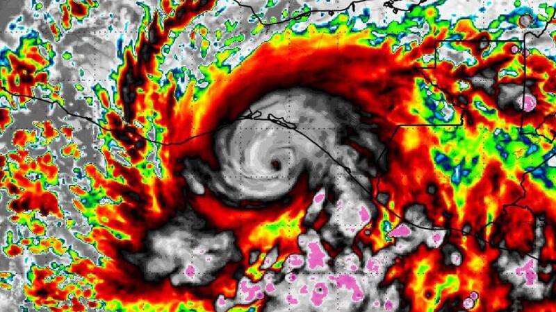
La tormenta tropical Melissa continúa su avance lento pero persistente por las cálidas aguas del mar Caribe, mientras los meteorólogos advierten sobre el riesgo de fuertes lluvias, inundaciones y deslizamientos de tierra en las próximas horas.
Formada este martes, Melissa podría fortalecerse y convertirse en huracán durante el fin de semana, según los pronósticos actualizados del Centro Nacional de Huracanes (NHC) de Estados Unidos. Los expertos anticipan que la tormenta podría alcanzar incluso la categoría de huracán mayor, impulsada por las altas temperaturas oceánicas que dominan la región.
Cuál es la trayectoria de Melissa y cuáles son las zonas en riesgo
Aunque el fortalecimiento de Melissa parece casi seguro, su trayectoria aún genera incertidumbre. Los modelos de pronóstico muestran dos posibles escenarios: si la tormenta continúa desplazándose hacia el oeste o el oeste-noroeste, podría mantenerse al sur de Jamaica durante el fin de semana, alimentándose de algunas de las aguas más cálidas del planeta.

En cambio, si una corriente en chorro la empuja hacia el norte antes de lo previsto, Melissa podría dirigirse hacia Haití o República Dominicana, donde aumentaría el riesgo de lluvias intensas y vientos dañinos.
Las autoridades meteorológicas recomiendan a los países del Caribemantenerse en alerta ante la posible evolución del sistema, ya que las precipitaciones podrían provocar crecidas repentinas, deslizamientos de tierra y daños costeros.
Aunque por ahora no se han emitido advertencias formales de huracán, los expertos subrayan que el comportamiento lento de Melissa podría intensificar los efectos locales, acumulando grandes cantidades de lluvia en zonas vulnerables.
Una tendencia cada vez más preocupante
Los meteorólogos señalan que Melissa se está desacelerando, una tendencia que se ha vuelto más frecuente entre los ciclones tropicales del Atlántico.
Este tipo de desplazamiento lento aumenta la exposición de las comunidades al viento, la lluvia y las marejadas, complicando los esfuerzos de respuesta y evacuación.
Por ahora, el Caribe se mantiene atento al avance de Melissa, una tormenta que podría convertirse en el próximo huracán de la temporada y poner a prueba nuevamente la resiliencia de las islas frente a los fenómenos climáticos extremos.















