

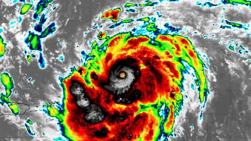
El huracán Kiko se originó en el océano Pacífico y paso de tormenta a huracán, según un reciente informe del Centro Nacional de Huracanes de Estados Unidos (NHC).
Según el organismo, Kiko recuperó fuerza de categoría 4 el pasado viernes en su camino hacia Hawai y el lunes se declaró la emergencia "debido a las posibles inclemencias del tiempo" ocasionadas por el ciclón.
De acuerdo al medio CNN, por el momento no hay órdenes de evacuación, pero el período de socorro por desastre que estará vigente hasta el viernes 19 de septiembre.
Alerta por la llegada de "Kiko": la tormenta tropical que se transformará en huracán
Kiko es ya el undécimo ciclón con nombre de la temporada 2025 en el Pacífico, después de intensificarse rápidamente en las últimas horas.
Como detalló el Centro Nacional de Huracanes de EE.UU. (NHC, por sus siglas en inglés), el fenómeno presenta vientos máximos sostenidos de 140 km/h, con ráfagas más altas, y se prevé que pierda más intensidad en las próximas horas hasta degradarse a tormenta tropical hacia el final del día.

A pesar de su evolución, el NHC aclaró que no hay avisos ni alertas costeras vigentes en este momento, ya que el sistema se mantiene a gran distancia de zonas pobladas.
¿Cuál es la trayectoria del huracán "Kiko"?
El Centro Nacional de Huracanes de EE.UU. (NHC, por sus siglas en inglés) estima que Kiko discurra por el norte de las islas de Hawai durante este miércoles.
De acuerdo a las autoridades, se espera que las marejadas generadas por Kiko aumenten gradualmente y alcancen su punto máximo a lo largo de las costas expuestas en el este de Hawai a mediados de la semana, con riesgo de corrientes de resaca y oleaje potencialmente peligroso.













