

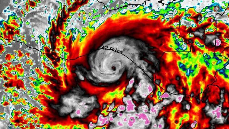
El cambio climático está intensificando las tormentas más temidas que amenazan la Costa Este de los Estados Unidos año a año. Un nuevo estudio advierte que los fenómenos invernales devastadores que combinan nieve, lluvia y vientos extremos, conocidos como "nor'easters", están ganando fuerza y capacidad destructiva a niveles sin precedentes.
Estos temporales, que azotan desde septiembre hasta abril, ya causaron estragos históricos. Los científicos de la Universidad de Pennsylvania advierten que su poder de destrucción y daño está creciendo rápidamente, y que podría generarse un evento incluso más fuerte que la histórica "Tormenta del Siglo".

Amenazan los nor'easters: qué son y por qué esta tormenta será la más destructiva
Los nor'easters son fenómenos meteorológicos que nacen del choque entre el aire ártico frío y las masas cálidas y húmedas del Atlántico. Aunque podrían ser menos frecuentes por el calentamiento global, las tormentas que sí ocurran serán mucho más intensas.
El estudio publicado en la revista especializada PNAS halló que:
- La velocidad máxima de los vientos aumentó un 6%.
- La intensidad de lluvia y nieve creció un 10%.
- El potencial destructivo global subió un 20%, incluso en eventos aislados.
Estas cifras, aunque parezcan moderadas, se traducen en impactos severos sobre las ciudades y comunidades del noreste de EE.UU., especialmente ante sistemas de infraestructura ya presionados por eventos extremos.
Atención residentes: qué zonas de Estados Unidos están en mayor riesgo y cómo prepararse
Las ciudades más vulnerables son las que se encuentran a lo largo de la costa noreste. En estos centros urbanos, el riesgo de inundaciones y cortes masivos de servicios crece cada año. Se trata de:
- Nueva York
- Boston
- Filadelfia
- Washington D.C.
El climatólogo y co-autor del estudio Michael Mann explicó que las temperaturas más cálidas del océano y la atmósfera aumentan la evaporación, generando tormentas con más humedad y, por lo tanto, más peligrosas.
Información importante | Recomendaciones clave para zonas costeras:
- Contar con suministros y fuentes de energía alternativas.
- Revisar planes de evacuación y refugio.
- Mejorar infraestructura de contención y drenaje.
Otros científicos advierten que actuar con anticipación es menos costoso que reconstruir. Aunque haya menos nieve en general, los episodios extremos seguirán ocurriendo, pero con consecuencias aún más devastadoras.











