

El Servicio Meteorológico Nacional (SMN) advirtió por el ingreso de una ciclogénesis con alta carga eléctrica que traerán tormentas fuertes, lluvias intensas y ráfagas de viento en la previa del fin de semana, aunque se espera que la mayor parte del descanso sea con buen clima en todo el país.
El temporal impactará principalmente en distintas provincias de Cuyo y del NEA, aunque las lluvias también se sentirán en otras regiones del país. Además, el organismo climático ya emitió una alerta naranja para algunas de estas zonas.
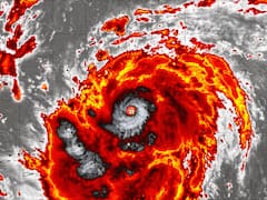
¿Cómo será la tormenta de esta semana?
Para esta semana, se esperaba una fuerte inestabilidad en gran parte de Argentina, con alta probabilidad de lluvias en las principales áreas urbanas. Sin embargo, para el fin de semana, las condiciones podrían mejorar en el casi todo eel país.
Las tormentas más intensas se dieron principalmente entre este lunes 20 y la madrugada del martes 21 de abril. El fenómeno es impulsado por el avance de un frente frío que genera condiciones de inestabilidad severas al chocar con una masa de aire cálido y húmedo en el centro y norte del país.
Sin embargo, para el miércoles y el jueves quedaron algunas zonas bajo alerta naranja, se prevén los siguientes fenómenos climáticos:
- abundante caída de agua en períodos cortos,
- actividad eléctrica frecuente,
- ráfagas que podrían alcanzar los 90 km/h.

El granizo se presentará de forma ocasional y localizada, lo que afecta especialmente a las zonas donde las celdas de tormenta logren mayor desarrollo vertical. .
Llega la tormenta del siglo: cuáles son las zonas más afectadas
Según el Servicio Meteorológico Nacional (SMN), las precipitaciones acumuladas podrían oscilar entre los 60 y 100 mm en los sectores más críticos, con el riesgo de superarse estos valores de manera puntual. Las zonas más afectadas son las siguientes:
- Misiones (Posadas y alrededores): Se ha emitido una alerta amarilla específicamente para el jueves 23 de abril, con pronóstico de tormentas eléctricas y lluvias que podrían ser intensas localmente.
- Noreste Argentino (Corrientes y Chaco): Durante el miércoles 22, el frente frío continuará interactuando con aire cálido y húmedo en esta zona, manteniendo la posibilidad de tormentas fuertes acompañadas de actividad eléctrica y ráfagas.
- Mendoza y zona cordillerana: Aunque las condiciones mejoran en el llano, se mantiene vigilancia por inestabilidad residual en zonas de montaña que podría generar granizadas aisladas típicas de la transición estacional.
El pronóstico por día en las zonas con mejoras
- Miércoles 22 de abril: las condiciones mejoran notablemente en Buenos Aires, CABA, Córdoba y Santa Fe, con cielos algo nublados y sin probabilidad de lluvias. El mal tiempo se desplaza hacia el extremo noreste del país.
- Jueves 23 de abril: se espera una jornada estable y fresca en el centro, mientras que en el NEA (especialmente Misiones) se intensifica la probabilidad de tormentas bajo alerta.
- Viernes 24 de abril: buen tiempo predominante en la mayor parte de Argentina con ascenso leve de temperatura. No se prevén alertas vigentes por granizo en las principales áreas urbanas del centro
El clima en Buenos Aires para esta semana
El SMN publicó el pronóstico extendido para la Ciudad Autónoma de Buenos Aires donde la temperatura bajó sensiblemente tras las lluvias del lunes y martes con fuertes vientos que afecta la sensación térmica.
- Miércoles 22: mínima de 12°C y máxima de 21°C, con cielo parcialmente nublado.
- Jueves 23: mínima de 13°C y máxima de 23°C, con cielo algo nublado.
- Viernes 24: mínima de 15°C y máxima de 23°C, con cielo algo nublado.





